w rejonie Famagusta (Deryneia) na sprzedaż

Cena: 93000 € ( 398040 zł ) Wyświetleń oferty nieruchomości: 1897


Powierzchnia: m2


Liczba sypialni:


Liczba łazienek: 0

Oferta nieruchomości

Działka:

Na sprzedaż

Powierzchnia działki:

m2

Powierzchnia nieruchomości:

m2

Pomieszczenia:

dywany

dzwonek do drzwi

podwójne schody

balkon

umeblowanie

otwarta kuchnia

osobna kuchnia

dostęp do wody

basen

brak

grill

garaż

parking kryty

odkryty parking

dostęp do drogi

telewizja satelitarna

dostęp do prądu

dostęp do internetu

linia telefoniczna

klimatyzacja

ilość poziomów

Działka w Famagusta Deryneia na sprzedaż Cypr

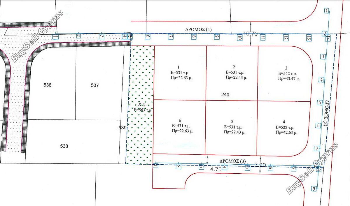
Obecnie w pobliżu szkół publicznych dostępny jest wybór działek narożnych i bocznych. Działki charakteryzują się równymi powierzchniami gotowymi do przyjęcia zabudowy mieszkaniowej, a ich kształty są prostokątne z bezpośrednim dostępem do oficjalnej drogi publicznej. Jest to znakomita okazja inwestycyjna, biorąc pod uwagę, że deweloper działek oferuje również nabywcom koncepcyjne plany architektoniczne 3 lub 4 sypialniowej willi z prywatnym basenem na działkach.
Identyfikator aukcji: 940709
Działka: 532 mkw
Strefa Mieszkalna
Współczynnik budowy: 90%
Współczynnik pokrycia: 50%
Blisko udogodnień
Strefa budynku: Κα6
Wysokość budynku: 8,3 metra
Kondygnacje budynku: Parter

Lokalizacja

Podobne

 w rejonie Famagusta (Deryneia) na sprzedaż

w rejonie Famagusta (Deryneia) na sprzedaż

Oferta sprzedaży
Rejon Cypru: Famagusta
Miejscowość: Deryneia
Metraż nieruchomości m2, Metraż działki m2,
Ilość sypialni : ,Wiadomość :
Cena : 79000 euro ( 336540 złotych )
Dom w rejonie Famagusta (Deryneia) na sprzedaż

Dom w rejonie Famagusta (Deryneia) na sprzedaż

Oferta sprzedaży
Rejon Cypru: Famagusta
Miejscowość: Deryneia
Metraż nieruchomości m2, Metraż działki m2,
Ilość sypialni : 2,Wiadomość : 1
Cena : 152000 euro ( 647520 złotych )
Dom w rejonie Famagusta (Deryneia) na sprzedaż

Dom w rejonie Famagusta (Deryneia) na sprzedaż

Oferta sprzedaży
Rejon Cypru: Famagusta
Miejscowość: Deryneia
Metraż nieruchomości m2, Metraż działki m2,
Ilość sypialni : 2,Wiadomość : 2
Cena : 170000 euro ( 724200 złotych )
Apartament w rejonie Famagusta (Deryneia) na sprzedaż

Apartament w rejonie Famagusta (Deryneia) na sprzedaż

Oferta sprzedaży
Rejon Cypru: Famagusta
Miejscowość: Deryneia
Metraż nieruchomości m2, Metraż działki m2,
Ilość sypialni : 3,Wiadomość : 2
Cena : 195000 euro ( 830700 złotych )
 w rejonie Famagusta (Deryneia) na sprzedaż

w rejonie Famagusta (Deryneia) na sprzedaż

Oferta sprzedaży
Rejon Cypru: Famagusta
Miejscowość: Deryneia
Metraż nieruchomości m2, Metraż działki m2,
Ilość sypialni : ,Wiadomość :
Cena : 93000 euro ( 396180 złotych )
Apartament w rejonie  (Deryneia) na sprzedaż

Apartament w rejonie (Deryneia) na sprzedaż

Oferta sprzedaży
Rejon Cypru: Protaras
Miejscowość: Deryneia
Metraż nieruchomości 61 m2, Metraż działki 0 m2,
Ilość sypialni : 1,Wiadomość : 0
Cena : 63300 euro ( 269658 złotych )
Apartament w rejonie Famagusta (Deryneia) na sprzedaż

Apartament w rejonie Famagusta (Deryneia) na sprzedaż

Oferta sprzedaży
Rejon Cypru: Famagusta
Miejscowość: Deryneia
Metraż nieruchomości m2, Metraż działki m2,
Ilość sypialni : 2,Wiadomość : 1
Cena : 135000 euro ( 575100 złotych )
Dom w rejonie Famagusta (Deryneia) na sprzedaż

Dom w rejonie Famagusta (Deryneia) na sprzedaż

Oferta sprzedaży
Rejon Cypru: Famagusta
Miejscowość: Deryneia
Metraż nieruchomości m2, Metraż działki m2,
Ilość sypialni : 2,Wiadomość : 1
Cena : 130000 euro ( 553800 złotych )
Apartament w rejonie Famagusta (Deryneia) na sprzedaż

Apartament w rejonie Famagusta (Deryneia) na sprzedaż

Oferta sprzedaży
Rejon Cypru: Famagusta
Miejscowość: Deryneia
Metraż nieruchomości m2, Metraż działki m2,
Ilość sypialni : 2,Wiadomość : 1
Cena : 140000 euro ( 596400 złotych )

Kontakt

=

Wyszukiwarka

Region

Lokalizacja

Rodzaj nieruchmości

Cena minimalna

Maksymalna cena

Nieruchomości

Apartament Ayia Napa
Apartament Protaras
Apartament Famagusta
Apartament Larnaka
Apartament Paphos
Apartament Limassol
Apartament Nikozja

Dom Ayia Napa
Dom Protaras
Dom Famagusta
Dom Larnaka
Dom Paphos
Dom Limassol
Dom Nikozja

Willa Ayia Napa
Willa Protaras
Willa Famagusta
Willa Larnaka
Willa Paphos
Willa Limassol
Willa Nikozja

Poznaj Cypr z nami!


Wirtualne zwiedzanie Cypru 360


Nasze filmy z Cypru